Ako sa oceány otepľujú, vytvárajú podmienky, ktoré umožňujú hurikánom rýchlu intenzifikáciu – keď sa rýchlosť vetra hurikánu zvýši o 56 km/h alebo viac v priebehu 24 hodín. Hurikán Melissa je najnovším príkladom tohto javu, píše National Geographic.
Bežnejšie explozívne skoky
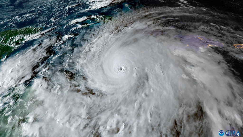
Hurikán Melissa sa z tropickej búrky rozrástol na silnú 5. kategóriu – 145 km/h a trvajúcu 48 hodín – a meteorológovia predpovedajú, že búrka by mohla spôsobiť katastrofálne bleskové záplavy, život ohrozujúce zosuvy pôdy a extrémne silný vietor v Karibiku.
Hurikán Melissa zasiahol Jamajku tento utorok ako búrka 5. kategórie, čím sa stal najsilnejším hurikánom, ktorý zasiahol ostrov od začiatku vedenia záznamov v roku 1851. Dorazil už aj na Kubu.
Melissa je tiež najintenzívnejším hurikánom, ktorý zasiahol pevninu v Atlantickom oceáne. Tieto typy explozívnych skokov sa v posledných rokoch stali bežnejšími a majú ničivé následky.
Predtým, ako hurikán Helene zasiahol Floridu v septembri 2024, sa z hurikánu 1. kategórie stal hurikán 4. kategórie v priebehu jediného dňa. Hurikán Milton sa v októbri toho istého roku v priebehu dvoch dní zosilnel z tropickej búrky na hurikán 5. kategórie.
Rýchla intenzifikácia sa vyskytuje len v niekoľkých tropických cyklónoch každý rok. Štúdia z roku 2023 v časopise Nature však zistila, že v okruhu 280 kilometrov od pobrežia sú rýchlo sa zosilňujúce búrky teraz výrazne častejšie ako pred 40 rokmi.
Jedným zničujúcim príkladom bol hurikán Michael v roku 2018. Preskočil z búrky 2. kategórie na 5. kategóriu deň predtým, ako zasiahol pevninu na Floride. Vyžiadal si desiatky životov a spôsobil škody vo výške 25 miliárd dolárov.
A zatiaľ čo niektoré hurikány sa zosilňujú nad otvorenou vodou, tie, ktoré rýchlo rastú pred dopadom na pevninu, predsta...
Zostáva vám 85% na dočítanie.
